TAKE NOTICE THAT COUNCIL CONSIDERATION OF A TEMPORARY USE PERMIT will be held on Monday, October 6, at 7:00 p.m. in the COUNCIL CHAMBERS, 1229 ESQUIMALT ROAD, Esquimalt, BC to allow the public to make written or verbal representation to the Municipal Council respecting matters contained in the following proposed permit:
OFFICIAL COMMUNITY PLAN BYLAW, 2018, NO. 2922 allows Council to issue a Temporary Use Permit pursuant to the Local Government Act section 493 for a land use not otherwise permitted by the Township’s Zoning Bylaw on a temporary basis for a period of three years.
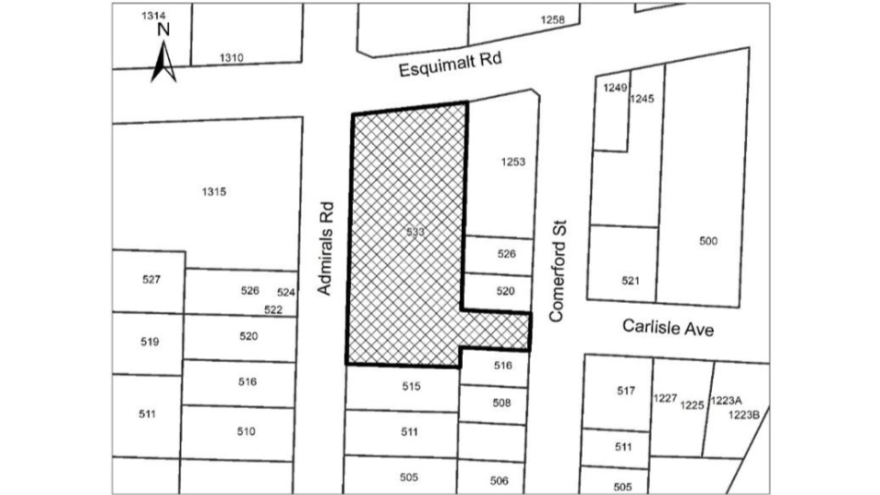
Temporary Use Permit TUP00016 would allow a portion of the site to be used for Commercial Parking for 22 spaces. If approved, the Permit would be valid for three years from the date of issue.
Site Location:  
 
Description of Land:
533 Admirals Road [LOT 1, SUBURBAN LOTS 39 AND 40, ESQUIMALT DISTRICT, PLAN VIP51816
PID 017-031-044]
AND FURTHERMORE, TAKE NOTICE that copies of the proposed Temporary Use Permit, relevant background documents, and other information related to this application may be reviewed from September 26, 2025, until October 6, 2025, at Municipal Hall, 1229 Esquimalt Road, Esquimalt, BC, V9A 3P1 between 8:30 a.m. and 4:30 p.m., Monday to Friday, excluding statutory holidays.
All persons believing their interest in property is affected by the proposed application will be given a reasonable opportunity to be heard and may indicate their support or opposition for the proposed Temporary Use Permit in one of the following ways:
1.    Written enquiries and comments submitted by mail or email must be received by 12:00 p.m. on Monday, October 6, 2025.  All correspondence submitted will form part of the public record and may be published in a meeting agenda.  Comments may be submitted by: 
•    Emailing comments to council@esquimalt.ca
•    Mailing or delivering comments to 1229 Esquimalt Road, Esquimalt, BC, V9A 3P1
•    Placing written comments in the drop box by the main door to Municipal Hall, 1229 Esquimalt Road
2.    Speak in person at the public input opportunity during the meeting or deliver written comments in person at the public input opportunity.
3.    Electronic participation may be arranged by contacting Corporate Services prior to 4:30 p.m. on the day of the meeting at 250-414-7177.
More information about the project: JAMES DAVISON at 250-414-7148
 
 
 