TAKE NOTICE THAT in accordance with Sections 464(2) and 467 of the Local Government Act, Council will consider first reading of Zoning Bylaw, 1992, No. 2050, Amendment Bylaw, 2025 No. 3178, on November 17, 2025, at 7:00 p.m. in the COUNCIL CHAMBERS, ESQUIMALT MUNICIPAL HALL, 1229 Esquimalt Road, Esquimalt, BC, V9A 3P1.
The zoning amendment would permit eight townhouses at a Floor Area Ratio of 0.59. The proposal is consistent with the Proposed Land Use of Townhouse Residential within the Township’s Official Community Plan.
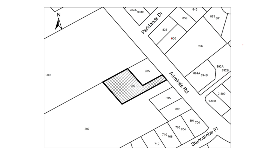
Site Location:
Description of Land:
Address: 903 Admirals Road
Parcel Identifier (PID): 001-096-028
Legal description: LOT 2, SECTION 2, ESQUIMALT DISTRICT, PLAN 32155
AND FURTHERMORE, TAKE NOTICE that copies of the proposed bylaw, relevant background documents, and other information related to this application may be reviewed from November 6, 2025, until November 17, 2025 at Municipal Hall, 1229 Esquimalt Road, Esquimalt, BC, V9A 3P1 between 8:30 a.m. and 4:30 p.m., Monday to Friday, excluding statutory holidays.
Comments on the proposed bylaw may be provided to Council in one of the following ways:
Written enquiries and comments submitted by mail or email must be received by 12:00 p.m. on November 17, 2025. All correspondence submitted will form part of the public record and may be published in a meeting agenda. Comments may be submitted by:
Emailing comments to council@esquimalt.ca
Mailing or delivering comments to 1229 Esquimalt Road, Esquimalt, BC, V9A 3P1
Placing written comments in the drop box by the main door to Municipal Hall, 1229 Esquimalt Road
Speak to the bylaw changes in person at the public input opportunity during the meeting.
Electronic participation may be arranged by contacting Corporate Services prior to 4:30 p.m. on the day of the meeting at 250-414-7177.
James Davison, Manager of Development Services
