The Township has received a rezoning application (RZ000129) from the registered owner of 868 Old Esquimalt Road. The Municipal Council will consider first reading of this application on Monday, December 15, 2025, at 7:00 p.m. in the Council Chambers, Esquimalt Municipal Hall, 1229 Esquimalt Road, Esquimalt, BC, V9A 3P1.
What does this mean?
As part of the application process, the public has an opportunity to provide input to Council regarding the proposed changes. These changes need to be considered by Council because they require an amendment to the Township’s Zoning Bylaw, 1992, No. 2050. Find more information about the Zoning Bylaw at Esquimalt.ca/development. Pursuant to Section 464(3) of the Local Government Act, the Township is prohibited from holding a public hearing for this rezoning application.
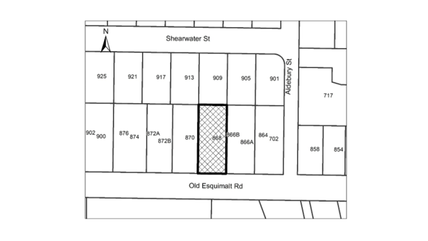
Site location:
Description of land:
Address: 868 Old Esquimalt Road
Parcel Identifier (PID): 004-574-141
Legal description: LOT C, SECTION 1, ESQUIMALT DISTRICT, PLAN 13557
Purpose of the application:
Zoning Bylaw, 1992, No. 2050 Amendment Bylaw, 2025, No. 3172 provides for the following changes:
Change in zoning from RD-3 [Two Family/Single Family Residential] to CD No. 171 [Comprehensive Development District No. 171].
The purpose of this change in zoning is to allow a townhouse development consisting of 6 residential units in two buildings with a height of 11.0m and lot coverage of 36%.
Input opportunities:
All persons believing their interest in property is affected by the proposed application will be given a reasonable opportunity to be heard and may indicate their support or opposition for the proposed bylaw changes in one of the following ways:
Written submissions must be received by 12:00 p.m. on December 15, 2025. All correspondence submitted will form part of the public record and may be published in a meeting agenda. Comments may be submitted by:
Emailing comments to council@esquimalt.ca
Mailing or delivering comments to 1229 Esquimalt Road, Esquimalt, BC, V9A 3P1
Placing written comments in the drop box by the main door to Municipal Hall, 1229 Esquimalt Road
Speak in person at the public input opportunity during the meeting.
Electronic participation may be arranged by contacting Corporate Services prior to 4:30 p.m. on the day of the meeting at 250-414-7177.
Copies of the proposed bylaw, relevant background documents, and other information related to this application may be reviewed from December 3, 2025, until December 15, 2025, at Municipal Hall, 1229 Esquimalt Road, Esquimalt, BC, V9A 3P1 between 8:30 a.m. and 4:30 p.m., Monday through Friday, except statutory holidays.
Personal information contained in communications to Council on this matter is collected under the authority of section 26 (c) of the Freedom of Information and Protection of Privacy Act and will be used to assist Council members in decision making. Comments expressed orally during the Meeting will be webcast live and recorded to form part of the public record. Written submissions will form part of the Township’s public record and may be included in a public agenda and posted on our website. Your phone number and email address will not be disclosed; however, your address is considered relevant to this proposal and will be disclosed to inform Council of your opinion in relation the proposed bylaw(s). Questions regarding the collection of personal information may be referred to the privacy team at foi@esquimalt.ca or 250-414-7177.
More information about the project: Kirsten Dafoe at 250-414-7114
